Fotografija iz odprtih virov
Neverjetno uničujoč orkan Michael, ki je zadel jugovzhodna obala ZDA, dosegla zvezno državo Florida. Blizu oceana zabeležena je hitrost vetra do sto metrov ali več drugič. Nujno je bilo 375 tisoč lokalnih prebivalcev evakuirani po tem, ko je predsednik razglasil izredno stanje. Kljub temu, da se število žrtev še vedno meri v enotah, “Michael” se imenuje močan orkan, ki se je soočal moderna florida.
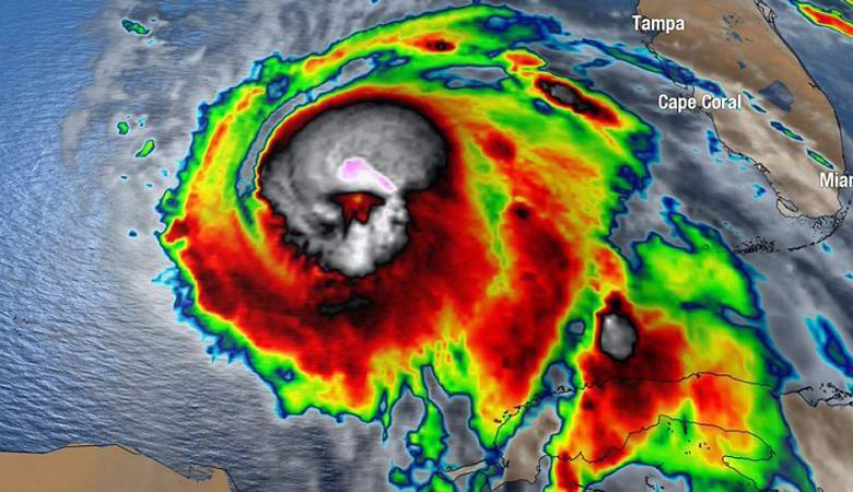
Tragedija je postala nenavadna in nekoliko mistična krog, ko so Američani nenadoma opazovali novice o katastrofi je v zraku opazil čudno “znamenje”. V satelitsko sliko tropski ciklon je sumljivo oblikoval zlobno silhueto videti kot siva lobanja s krvavitimi očesnimi vtičnicami. Seveda mnogi pobožni gledalci so menili, da je slabo omen, in neomajni “Michael” je zagotovo usojen za nošenje veliko človeških življenj.
Novica o skrivnostni “lobanji” je postala tako priljubljena v Svetovni splet, ki se je moral celo odzvati nanj Ameriški klimatologi. Po njihovem govorimo o navadnem pareidolična iluzija, ki se je pojavila na sliki orkana samo za sekundo ali dve. Zanimivo je, da je leta 2016 podobna silhueta pri satelitskih fotografijah so odkrili človeško lobanjo tropski ciklon “Matthew” nad Karibi.
Ali menite, da je to naključje ali ne? In ali je to mogoče tudi pri nas življenje kot nesreče? ..
Življenje
